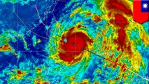
TAIPEI — Super typhoon Nepartak swept through Taiwan on July 8. Two days prior, Nepartak intensified from a tropical storm to a category 5 typhoon. <br /> <br />So far, one death and one injury have been reported by the Taiwan Central Emergency Operations Center. <br /> <br />The typhoon made landfall early Friday about 10 miles south of Taitung City with sustained winds at 150 mph. According to The Weather Channel, Nepartak landed as a category 4 storm. Some locations have already seen more than 12 inches of rain that morning. <br /> <br />More than 15,000 people have been evacuated. A total of 302 international flights were canceled and the rail services were suspended, and more than 110,000 houses lost electricity. <br /> <br />Infrared Satellite imagery of Nepartak exhibited a large eye and near perfect symmetry as it moved towards the island nation. <br /> <br />The storm is expected to last through the day. <br /> <br />Nepartak breaks a record-long storm-free streak for the western Pacific. The last named storm hit in December 2015, nearly 200 days ago, according to AccuWeather.
