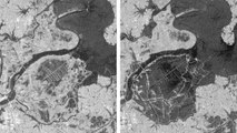
The Satellite images show the severity of the flood in Pryagraj in Uttar Pradesh. The intense flow of Yamuna has caused Ganga to backflow from Triveni Sangam. Nearly 15 districts of Uttar Pradesh are badly affected by floodwaters. Central Water Commission data shows that Ganga and Yamuna rivers are flowing above the danger mark in many districts of the state, including Pryagraj.
