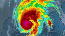
This Day in History: , Hurricane Katrina Slams <br />Into Gulf Coast.<br />August 29, 2005.<br />The Category 4 hurricane<br />became the worst natural<br />disaster in U.S. history. The city <br />of New Orleans bore the brunt.<br />145 mph winds turned cars <br />into projectiles and overwhelmed <br />poorly tended levees that protected <br />the city, located six feet below sea level.<br />Though an evacuation order had been issued by the New Orleans major, tens of thousands stayed behind, many with no other recourse.<br />80% of the city experienced massive flooding. A full-scale rescue effort took two days to begin.<br />As most of those who remained were African <br />American, the perceived poor response of U.S. <br />government agencies and President George W. Bush <br />brought racial inequalities in America to the surface.<br />Katrina led to more than 1,300 deaths, <br />displaced one million people, left almost a <br />half a million unemployed and caused up to $150 <br />billion in damages to public and private property
