Surprise Me!
Video shows strong winds and palm trees swaying as Hurricane Otis makes landfall
2023-10-25
1
Dailymotion
The video was filmed on October 25 at the Princess Mundo Imperial in Acapulco, Mexico.
Please enable JavaScript to view the
comments powered by Disqus.
Related Videos
Video shows strong winds and palm trees swaying as Hurricane Otis makes landfall
Video shows collapsed ceiling as Hurricane Otis makes landfall near Acapulco
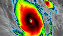
Infrared satellite shows ‘extremely dangerous’ Hurricane Otis making landfall in Mexico
Video shows debris scattered as Hurricane Otis makes landfall near Acapulco
Video shows strong winds and debris as Hurricane Otis makes landfall
Hurricane Melissa has made landfall in Jamaica as a Category 5 hurricane-one of the most powerful hurricane landfalls on record in the Atlantic basin #hurricane #weather #jamaica #news #abcnews
Hurricane Beryl: Video shows trees swaying due to strong winds
Otis makes landfall in Mexico
Watch Hurricane Otis From Space In These Amazing Satellite Views
Watch Hurricane Otis From Space In These Amazing Satellite Views
Buy Now on CodeCanyon