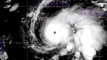
Hurricane Melissa is rapidly intensifying — now a powerful Category 4 storm and still growing. With wind speeds surging 70 mph in just 24 hours, the storm is forcing U.S. citizens to evacuate from Guantánamo Bay as it barrels toward Jamaica, Haiti, and eastern Cuba.<br /><br />The National Hurricane Center warns of catastrophic flooding, landslides, and widespread destruction, with rainfall expected to reach up to 40 inches in some areas. Already, the storm has claimed lives in Haiti and the Dominican Republic and destroyed hundreds of homes.<br /><br />Watch now to see how Hurricane Melissa is creating chaos across the Caribbean — and why officials are urging people to seek shelter now.<br />WooGlobe Ref : WGA288901<br />For licensing and to use this video, please email licensing@wooglobe.com
