Surprise Me!

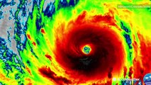
Super Typhoon Sinlaku takes aim at western Pacific

2026-04-14 300 Dailymotion

Bernie Rayno takes a look at the storm, which is the world's strongest so far this year, and its expected path and impacts in the coming days.

Buy Now on CodeCanyon