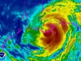
Hurricane Issac has been downgraded to a Tropical Storm, but not before dumping huge amounts of rain on the US Gulf Coast. <br /><br />This has caused widespread flooding in the southeast, including New Orleans in Louisiana.<br /><br />Al Jazeera's Tom Ackerman reports on how the city's flood defences held up.
